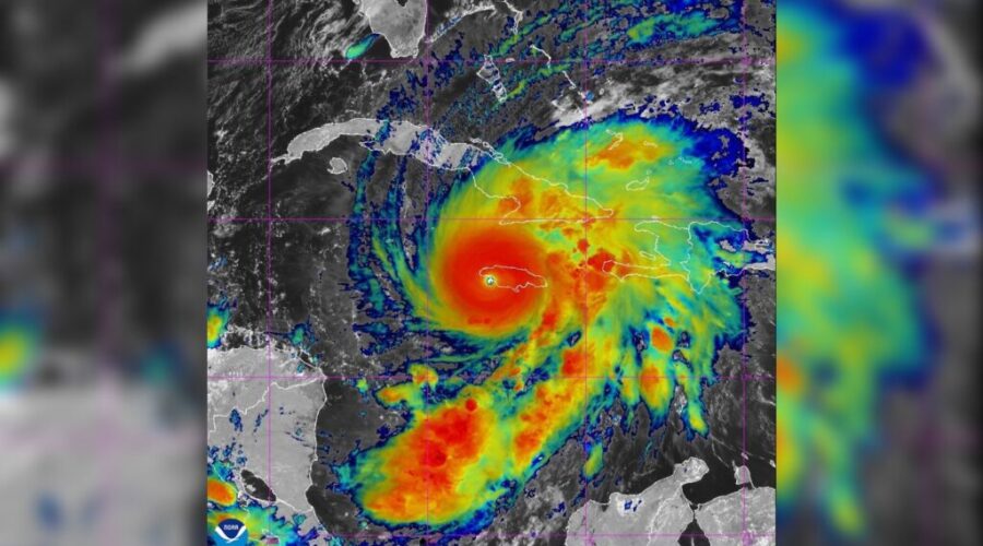
Hurricane Melissa is now emerging off the north coast of Jamaica after making landfall earlier Tuesday afternoon.
The U.S. National Hurricane Centre says there are still very dangerous conditions across the island with the potential for “destructive” and “damaging” winds.
The Centre says the storm made one of the most powerful hurricane landfalls on record in the Atlantic Basin, with the Category 5 maintaining sustained winds at 295 km/h.
Director Dr. Michael Brennan provided an update around 12:15 p.m., Tuesday, and said they were already hearing of flooding with 1,000 mm of rain expected in some areas, which could cause numerous landsides.
Jamaica’s government has ordered mandatory evacuations in low-lying coastal regions and opened emergency shelters across the island.
Forecasters say the storm will then move toward eastern Cuba by late Tuesday and could impact the Bahamas later in the week.
While Hurricane Melissa is not currently projected to reach Atlantic Canada, meteorologists are tracking its potential to curve north later in the week, possibly bringing heavy rain and high surf to parts of Newfoundland or Nova Scotia over the weekend.
Officials across the region are urging people to stay tuned for updates as the storm’s track continues to evolve.
Meantime, Global Affairs Canada says they are closely monitoring the situation and will provide assistance and humanitarian support if needed.




